Villa te koop in Apeldoorn met referentie 19210051717
Schuttersweg 51, 7314 LD Apeldoorn—Ref. AN106186
De ideale combinatie van wonen en werken!
Object/ligging
In de geliefde buurt Walterbosch (Apeldoorn-West) niet ver van scholen en een kinderdagverblijf ligt dit karakteristieke, vrijstaande jaren ’30 woonhuis met bedrijfspand op een perceel van maar liefst 1.664 m². De woning met bedrijfspand is zeer gunstig gelegen aan een ruime groenstrook met volop parkeerruimte, nabij bossen en het centrum van Apeldoorn. Bouwjaar: circa 1939.
De woning is gelegen aan de voorzijde van het perceel met rondom een fraai aangelegde tuin. Het bedrijfspand bevindt zich achter de woning en beschikt over zowel kantoor- als opslagruimten. Op eigen terrein is voldoende parkeergelegenheid.
Oppervlakte
Woning (Schuttersweg 51 te Apeldoorn)
Gebruiksoppervlakte wonen ca. 163 m²
Gebruiksoppervlakte overige inpandige ruimte ca. 9 m²
Gebruiksoppervlakte gebouwgebonden buitenruimte ca. 51 m²
Bedrijfsruimte (Staringlaan 5 te Apeldoorn)
Begane grond
- Bedrijfsruimte ca. 259 m² BVO
Verdieping
- Zolder
Indeling woonhuis
Begane grond
Ruime entree met hal, trapopgang en toilet, toegang naar kelder, aangrenzend aan de hal bevinden een ruime sfeervolle lichte woonkamer met haardpartij en houten vloer en aansluitende serre, gesloten keuken voorzien van diverse inbouwapparatuur, bijkeuken / berging.
Verdieping 1)
Overloop, trapopgang naar zolder, drie ruime (slaap)kamers met vaste kasten, waarvan een voorzien van airco, badkamer voorzien van toilet, ruime douchehoek, badkamermeubel en wasmachineaansluiting.
Verdieping 2)
Ruime zolder ingericht als slaapkamer
Indeling bedrijfspand
Begane grond
Ruime entree, twee ruime kantoorkamers, keuken, toilet, berging en werkplaats.
Verdieping 1)
Ruime zolder
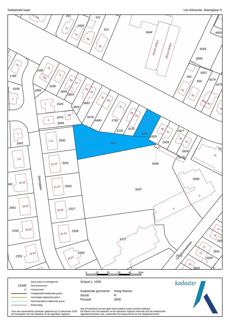
Kadastrale informatie
Schuttersweg 51 te Apeldoorn
Gemeente Hoog Soeren
Sectie R
Nummer 1806 (336 m²)
Staringslaan 5 te Apeldoorn
Gemeente Hoog Soeren
Sectie R
Nummer 2665 (1.328 m²)
Nummer 2664 (47 m²)
Omgevingsplan
Bij de gemeente Apeldoorn valt het onderhavige onroerend goed in het omgevingsplan gemeente Apeldoorn in werking vanaf 29-08-2025
Bestemmingsplan Stadsdeel Noord-West.
De bestemming van het perceel Staringlaan 5 is: Bedrijfsdoeleinden.
De bestemming van het perceel Schuttersweg 51 is: Woondoeleinden.
U kunt het omgevingsplan inzien via omgevingswet.overheid.nl of u kunt het omgevingsplan desgewenst bij ons kantoor opvragen.
Parkeergelegenheid
Voldoende parkeergelegenheid op eigen terrein.
Energielabel
Woning: Label C, geldig tot 09-12-2035
Bedrijfspand: Label C, geldig tot 09-12-2035
De woning is voorzien van acht zonnepanelen.
Aanvaarding
In overleg.
Zekerheidsstelling
Bankgarantie ter grootte van 10% van de koopsom, te voldoen uiterlijk 4 weken na koopovereenstemming te voldoen op derdengeldrekening van praktiserend notaris.
Voorbehoud
Eventuele transacties dienen ter goedkeuring voorgelegd te worden aan opdrachtgever c.q. eigenaar van het gebouw. Tot deze goedkeuring verleend is, zijn alle uitgebrachte aanbiedingen geheel vrijblijvend.
Bijzondere bepalingen
Aan verkoper niet bekend is, dat de onroerende zaak enige verontreiniging bevat die ten nadele strekt van het normale gebruik door de koper of die heeft geleid of naar redelijke verwachting zou kunnen leiden tot een verplichting tot schoning van de onroerende zaak, dan wel het nemen van andere maatregelen. Indien na eigendomsoverdracht blijkt dat er wel sprake is van enige vervuiling, dan aanvaardt verkoper hiervoor geen enkele aansprakelijkheid.
Koper is ermee bekend dat in de onroerende zaak is Staringlaan 5 asbest aanwezig is. Het risico daarvan rust geheel bij koper. Indien de asbesthoudende stoffen/materialen worden verwijderd dienen door koper maatregelen en voorzieningen te worden getroffen die de wetgeving voorschrijft. Koper verklaart met deze wetgeving bekend te zijn en aanvaardt alle aansprakelijkheid en gevolgen die uit de aanwezigheid van asbest en/of de verwijdering van asbest uit de onroerende zaak kan voortvloeien.
Aan verkoper bekend is, dat in de onroerende zaak asbest is verwerkt. De onbekendheid van eigenaar met de aanwezigheid van asbest in de onroerende zaak houdt uitdrukkelijk geen garantie in van eigenaar dat er geen asbest aanwezig is. Indien na eigendomsoverdracht blijkt dat er wel sprake is van de aanwezigheid van asbest, dan aanvaardt verkoper hiervoor geen enkele aansprakelijkheid.
Aan verkoper niet bekend is, dat met de eventuele aanwezigheid van invasieve exoten, zoals de Japanse duizendknoop in, op of nabij het verkochte. Indien na eigendomsoverdracht blijkt dat er wel sprake is van de aanwezigheid van dergelijke begroeiing, dan aanvaardt verkoper hiervoor geen enkele aansprakelijkheid.
Koper is ermee bekend dat het gekochte niet is voorzien van een EPA-label en doet hierbij uitdrukkelijk afstand van zijn recht daarop. Koper vrijwaart verkoper hierbij uitdrukkelijk voor alle mogelijke aanspraken dienaangaande.
Nadere informatie
Voor nadere informatie en/of bezichtigingen kunt u een afspraak maken met:
Rodenburg Bedrijfsmakelaars
Paslaan 20, 7311 AL APELDOORN
Telefoon: 055 – 5 268 268
E-mail: apeldoorn@rodenburg.nl
Internet: www.rodenburg.nl
Object/ligging
In de geliefde buurt Walterbosch (Apeldoorn-West) niet ver van scholen en een kinderdagverblijf ligt dit karakteristieke, vrijstaande jaren ’30 woonhuis met bedrijfspand op een perceel van maar liefst 1.664 m². De woning met bedrijfspand is zeer gunstig gelegen aan een ruime groenstrook met volop parkeerruimte, nabij bossen en het centrum van Apeldoorn. Bouwjaar: circa 1939.
De woning is gelegen aan de voorzijde van het perceel met rondom een fraai aangelegde tuin. Het bedrijfspand bevindt zich achter de woning en beschikt over zowel kantoor- als opslagruimten. Op eigen terrein is voldoende parkeergelegenheid.
Oppervlakte
Woning (Schuttersweg 51 te Apeldoorn)
Gebruiksoppervlakte wonen ca. 163 m²
Gebruiksoppervlakte overige inpandige ruimte ca. 9 m²
Gebruiksoppervlakte gebouwgebonden buitenruimte ca. 51 m²
Bedrijfsruimte (Staringlaan 5 te Apeldoorn)
Begane grond
- Bedrijfsruimte ca. 259 m² BVO
Verdieping
- Zolder
Indeling woonhuis
Begane grond
Ruime entree met hal, trapopgang en toilet, toegang naar kelder, aangrenzend aan de hal bevinden een ruime sfeervolle lichte woonkamer met haardpartij en houten vloer en aansluitende serre, gesloten keuken voorzien van diverse inbouwapparatuur, bijkeuken / berging.
Verdieping 1)
Overloop, trapopgang naar zolder, drie ruime (slaap)kamers met vaste kasten, waarvan een voorzien van airco, badkamer voorzien van toilet, ruime douchehoek, badkamermeubel en wasmachineaansluiting.
Verdieping 2)
Ruime zolder ingericht als slaapkamer
Indeling bedrijfspand
Begane grond
Ruime entree, twee ruime kantoorkamers, keuken, toilet, berging en werkplaats.
Verdieping 1)
Ruime zolder
Kadastrale informatie
Schuttersweg 51 te Apeldoorn
Gemeente Hoog Soeren
Sectie R
Nummer 1806 (336 m²)
Staringslaan 5 te Apeldoorn
Gemeente Hoog Soeren
Sectie R
Nummer 2665 (1.328 m²)
Nummer 2664 (47 m²)
Omgevingsplan
Bij de gemeente Apeldoorn valt het onderhavige onroerend goed in het omgevingsplan gemeente Apeldoorn in werking vanaf 29-08-2025
Bestemmingsplan Stadsdeel Noord-West.
De bestemming van het perceel Staringlaan 5 is: Bedrijfsdoeleinden.
De bestemming van het perceel Schuttersweg 51 is: Woondoeleinden.
U kunt het omgevingsplan inzien via omgevingswet.overheid.nl of u kunt het omgevingsplan desgewenst bij ons kantoor opvragen.
Parkeergelegenheid
Voldoende parkeergelegenheid op eigen terrein.
Energielabel
Woning: Label C, geldig tot 09-12-2035
Bedrijfspand: Label C, geldig tot 09-12-2035
De woning is voorzien van acht zonnepanelen.
Aanvaarding
In overleg.
Zekerheidsstelling
Bankgarantie ter grootte van 10% van de koopsom, te voldoen uiterlijk 4 weken na koopovereenstemming te voldoen op derdengeldrekening van praktiserend notaris.
Voorbehoud
Eventuele transacties dienen ter goedkeuring voorgelegd te worden aan opdrachtgever c.q. eigenaar van het gebouw. Tot deze goedkeuring verleend is, zijn alle uitgebrachte aanbiedingen geheel vrijblijvend.
Bijzondere bepalingen
Aan verkoper niet bekend is, dat de onroerende zaak enige verontreiniging bevat die ten nadele strekt van het normale gebruik door de koper of die heeft geleid of naar redelijke verwachting zou kunnen leiden tot een verplichting tot schoning van de onroerende zaak, dan wel het nemen van andere maatregelen. Indien na eigendomsoverdracht blijkt dat er wel sprake is van enige vervuiling, dan aanvaardt verkoper hiervoor geen enkele aansprakelijkheid.
Koper is ermee bekend dat in de onroerende zaak is Staringlaan 5 asbest aanwezig is. Het risico daarvan rust geheel bij koper. Indien de asbesthoudende stoffen/materialen worden verwijderd dienen door koper maatregelen en voorzieningen te worden getroffen die de wetgeving voorschrijft. Koper verklaart met deze wetgeving bekend te zijn en aanvaardt alle aansprakelijkheid en gevolgen die uit de aanwezigheid van asbest en/of de verwijdering van asbest uit de onroerende zaak kan voortvloeien.
Aan verkoper bekend is, dat in de onroerende zaak asbest is verwerkt. De onbekendheid van eigenaar met de aanwezigheid van asbest in de onroerende zaak houdt uitdrukkelijk geen garantie in van eigenaar dat er geen asbest aanwezig is. Indien na eigendomsoverdracht blijkt dat er wel sprake is van de aanwezigheid van asbest, dan aanvaardt verkoper hiervoor geen enkele aansprakelijkheid.
Aan verkoper niet bekend is, dat met de eventuele aanwezigheid van invasieve exoten, zoals de Japanse duizendknoop in, op of nabij het verkochte. Indien na eigendomsoverdracht blijkt dat er wel sprake is van de aanwezigheid van dergelijke begroeiing, dan aanvaardt verkoper hiervoor geen enkele aansprakelijkheid.
Koper is ermee bekend dat het gekochte niet is voorzien van een EPA-label en doet hierbij uitdrukkelijk afstand van zijn recht daarop. Koper vrijwaart verkoper hierbij uitdrukkelijk voor alle mogelijke aanspraken dienaangaande.
Nadere informatie
Voor nadere informatie en/of bezichtigingen kunt u een afspraak maken met:
Rodenburg Bedrijfsmakelaars
Paslaan 20, 7311 AL APELDOORN
Telefoon: 055 – 5 268 268
E-mail: apeldoorn@rodenburg.nl
Internet: www.rodenburg.nl
| Vastgoed ID | AN106186 |
|---|---|
| Vraagprijs | € 1.075.000 k.k. |
| Woningtype | Villa |
| Woonopp. | 163 m² |
| Perceelopp. | 336 m² |
| Bouwjaar | 1939 |
| Renovatiejaar | - |
| Slaapkamers | 3 |
| Badkamers | 1 |
| Garages | - |
| Energielabel | C |
Rodenburg Makelaars Apeldoorn by Dynamis Exclusief Paslaan 20, 7311 AL Apeldoorn
- Telefoon:+31.055.5.268.268
- Email:apeldoorn@rodenburg.nl
- Website:www.rodenburg.nl
- Maandag - VrijdagOpen van 08.30 - 17.30
- Zaterdag - ZondagGesloten






























































